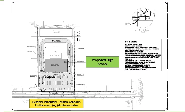
KCC SOUTH HIGH SCHOOL
Nature of Investment: Charter School – Education

10550 Johanna Ave. Riverview – FL
Land Size: 6.8acres
Building Size: 32,000 sq.ft.

 

Location Map